Аренда земельного участка 1 984 кв.м. для ИЖС в Дмитровском г.о. (КН 50:04:0070402:1725)

Форма проведения: Электронный аукцион
Вид торгов: Аренда и продажа земельных участков
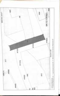
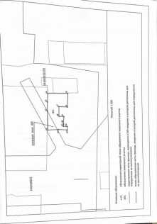
Площадь земельного участка: 1984 кв.м.
Кадастровый номер земельного участка: 50:04:0070402:1725
Все характеристики
1 146 000 ₽
Начальная цена
34 380 ₽
Шаг аукциона
34 380 ₽
Размер задатка
Прием заявок: с 12 Апреля 2024 в 09:00 до 03 Декабря 2024 в 18:00
Проведение торгов: 05 Декабря 2024 в 12:00
время по МСК
Аренда земельного участка ▒ ▒▒▒ кв.м. для ИЖС в Дмитровском г.о. (КН ▒▒:▒▒:▒▒▒▒▒▒▒:▒▒▒▒) показать скрытый текст
Электронная площадка:
ОБЩЕСТВО С ОГРАНИЧЕННОЙ ОТВЕТСТВЕННОСТЬЮ «РТС-ТЕНДЕР»
Организатор
ИНН
▒▒▒▒▒▒▒▒▒▒ показать скрытый текст
КПП
▒▒▒▒▒▒▒▒▒ показать скрытый текст
ОГРН
▒▒▒▒▒▒▒▒▒▒▒▒▒ показать скрытый текст
Юридический адрес
▒▒▒▒▒▒, ОБЛАСТЬ МОСКОВСКАЯ,ГОРОД КРАСНОГОРСК,БУЛЬВАР СТРОИТЕЛЕЙ, д. ▒ показать скрытый текст
Фактический/почтовый адрес
обл Московская, г.о. Красногорск, г Красногорск, б-р Строителей, дом ▒ показать скрытый текст

Продавец
Наименование
обл Московская, г.о. Красногорск, г Красногорск, б-р Строителей, дом ▒ показать скрытый текст
ИНН
▒▒▒▒▒▒▒▒▒▒ показать скрытый текст
КПП
▒▒▒▒▒▒▒▒▒ показать скрытый текст
ОГРН
▒▒▒▒▒▒▒▒▒▒▒▒▒ показать скрытый текст
Юридический адрес
▒▒▒▒▒▒, Московская область, Г. ДМИТРОВ, ПЛ. ТОРГОВАЯ, Д.▒ показать скрытый текст
Фактический/почтовый адрес
▒▒▒▒▒▒, Московская обл, Дмитровский р-н, г Дмитров, пл Торговая д. ▒ показать скрытый текст
Иное
4 Выписка из ЕГРН.pdf
32 B
Иное
9 Проект договора.docx
32 B
Иное
6 Акт осмотра.pdf
32 B
Иное
8 Письмо Администрации ОКС.pdf
32 B
Иное
10 ТУ.pdf
32 B
Иное
3 Сводная информация.pdf
32 B
Иное
решение о проведении торгов.pdf
32 B
Документы протокола
Протокол рассмотрения заявок АЗЭ-ДМ 24-1335 ост.pdf
225.02 KB
Документы протокола
Протокол о результатах аукциона АЗЭ-ДМ 24-1335 ост.pdf
224.39 KB
Иное
Извещение+№+АЗЭ-ДМ 24-1335.pdf
251.96 KB
Иное
Инструкция по авторизации в ЛКА.pdf
1.7 MB
Иное
Инструкция по регистрации физ.лица.pdf
1.22 MB
Иное
Инструкция по регистрации юр.лицо и ИП.pdf
1.71 MB
Иное
ПАМЯТКА.pdf
3.34 MB
Документ, подтверждающий внесение изменений
Изменения в Извещение № АЗЭ-ДМ/24-1335 от 24.05.2024.docx
24.06 KB
Документ, подтверждающий внесение изменений
Изменения в Извещение+№+АЗЭ-ДМ 24-1335 от 01.07.2024.pdf
274.08 KB
Документ, подтверждающий внесение изменений
Изменения в Извещение+№+АЗЭ-ДМ 24-1335 от 01.08.2024.docx
88.06 KB
Документ, подтверждающий внесение изменений
Изменения в Извещение № АЗЭ-ДМ/24-1335 от 06/09/2024.docx
24.06 KB
Документ, подтверждающий внесение изменений
Изменения в Извещение № АЗЭ-ДМ/24-1335 от 21.10.2024.docx
24.06 KB
Площадь земельного участка:
1984 кв.м.
Кадастровый номер земельного участка:
50:04:0070402:1725
Вид разрешённого использования земельного участка:
Для индивидуального жилищного строительства

Подберём профессионалов для сопровождения на торгах любой сложности
Услуга оказывается дистанционно по всей территории РФ, критерии подбора:
Опыт на рынке
более 7 лет
на всех известных электронных площадках
Победа
1 из 2
в каждом втором лоте
сумма
500,000,000+
выкупленного имущества
средний процент снижения цены
45%
на выигранный лот

Для участия в торгах обязательно использовать электронную подпись. Она необходима, чтобы зарегистрироваться на площадке, подавать заявки, подписывать документы и контракты.
Электронная подпись — это аналог личной подписи человека, который используется для заверения электронных документов. Технически это цифровая метка, уникальный набор букв и цифр.
Участники электронных торгов используют квалифицированную электронную подпись — КЭП. Она имеет такую же юридическую силу, что и рукописная. Поможем с выбором. Оставьте заявку, мы подберем нужную подпись и ответим на все вопросы

Стоимость услуги: от 3 000 руб. Оставить заявку
  • Подготовка пакета документов для участия в торгах
  • Проверка пакета документов
  • Аккредитация на ЭТП
  • Примем участие в торгах за вас – вам не потребуется покупать ЭЦП и проходить аккредитацию на ЭТП.
  • Полное сопровождение под ключ
  • Подача заявки на торги за 1 час
  • Как работает полное агентское сопровождение в торгах?
Стоимость услуги: от 5 000 руб. Участвовать в торгах
  • Подбор лотов по Вашим критериям
  • Выкуп «объекта» для сохранения и приумножения Вашего капитала, если у Вас есть средства, которые Вы хотите выгодно инвестировать
  • Финансовый и юридический анализ лота
Стоимость услуги: от 5 000 руб. Оставить заявку
  • Снятие обременений с объекта
  • Представление Ваших интересов в суде
  • Решение любых юридических вопросов
Стоимость услуги: от 5 000 руб. Получить консультацию
Объект на карте
Кадастровый номер: 50:04:0070402:1725
Вид объекта недвижимости:
Земельный участок
Вид земельного участка:
Землепользование
Дата присвоения:
▒▒▒▒-▒▒-▒▒
доступно после регистрации
Кадастровый квартал:
▒▒:▒▒:▒▒▒▒▒▒▒
доступно после регистрации
Площадь уточненная:
▒▒▒▒ кв. м
доступно после регистрации
Статус:
Учтенный
Категория земель:
Земли населенных пунктов
Вид разрешенного использования:
для индивидуального жилищного строительства
Кадастровый номер:
▒▒:▒▒:▒▒▒▒▒▒▒:▒▒▒▒
доступно после регистрации
Кадастровая стоимость:
▒▒▒▒▒▒▒.▒▒ руб.
доступно после регистрации
Удельный показатель кадастровой стоимости:
▒▒▒▒.▒▒ руб./кв. м
доступно после регистрации
Дата и время начала аукциона: 05.12.2024 в 12:00:00
Дата и время окончания аукциона: 05.12.2024 в 12:34:42
Победитель: 579513
Номер заявки Предложенная цена
576961 1 867 980,00 +721 980
579513 1 902 360,00 +34 380
Номер заявки Статус
576961 Допущен
579513 Допущен
Похожие лоты
Прием заявок
3 150 800 ₽
Начальная цена
94 524 ₽
Шаг аукциона
1 575 400 ₽
Размер задатка
242 369 ₽
цена за сот.
Прием заявок до 23 Марта в 18:00
Проведение торгов 25 Марта в 12:00
время по МСК
Прием заявок
3 308 200 ₽
Начальная цена
99 246 ₽
Шаг аукциона
1 654 100 ₽
Размер задатка
236 300 ₽
цена за сот.
Прием заявок до 23 Марта в 18:00
Проведение торгов 25 Марта в 12:00
время по МСК
Прием заявок
1 030 815 ₽
Начальная цена
30 924 ₽
Шаг аукциона
515 407,50 ₽
Размер задатка
68 721 ₽
цена за сот.
Прием заявок до 23 Марта в 18:00
Проведение торгов 25 Марта в 12:00
время по МСК
Прием заявок
1 605 000 ₽
Начальная цена
48 150 ₽
Шаг аукциона
802 500 ₽
Размер задатка
178 333 ₽
цена за сот.
Прием заявок до 23 Марта в 18:00
Проведение торгов 25 Марта в 12:00
время по МСК
Прием заявок
348 700 ₽
Начальная цена
10 461 ₽
Шаг аукциона
348 700 ₽
Размер задатка
32 680 ₽
цена за сот.
Прием заявок до 23 Марта в 23:59
Проведение торгов 27 Марта в 09:00
время по МСК+1
Опубликован
Прием заявок с 09 Марта в 23:00
время по МСК+1
Опубликован
Прием заявок с 09 Марта в 23:00
время по МСК+1
Опубликован
Прием заявок с 09 Марта в 23:00
время по МСК+1
Наверх